$26,500
For more information regarding the value of a property, please contact us for a free consultation.
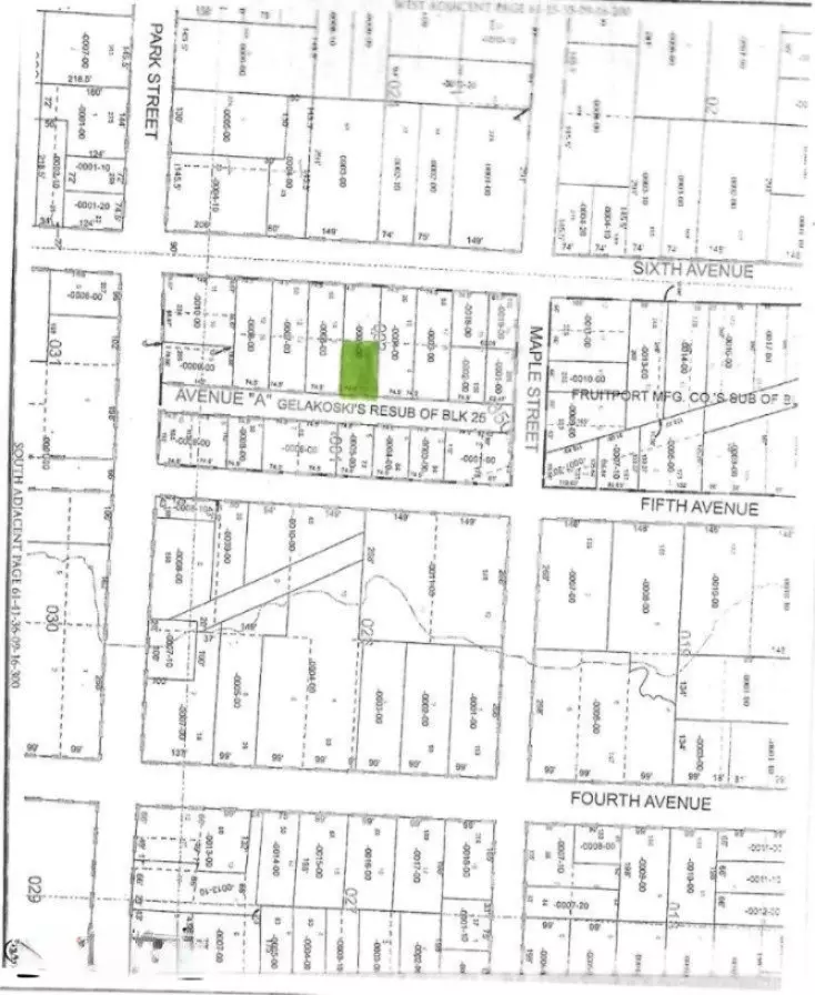
75 Avenue A Fruitport, MI 49415
Key Details
Property Type Vacant Land
Sub Type Lot
Listing Status Sold
Purchase Type For Sale
Municipality Fruitport Vllg
MLS Listing ID 21004417
Sold Date 03/05/21
Annual Tax Amount $475
Tax Year 2020
Lot Dimensions 74 x 118
Property Sub-Type Lot
Source Michigan Regional Information Center (MichRIC)
Property Description
Beautiful Fruitport Village building site. Recently cleared and ready to build. Property has city water and natural gas. Quiet street maintained by municipality. Lots of options for a builder or someone who has a plan.
Location
State MI
County Muskegon
Area Muskegon County - M
Direction US 31 to Pontaluna, E to N 6th St, S to W Maple, W to Ave A, S to lot.
Exterior
View Y/N No
Schools
School District Fruitport
Others
Tax ID 6141350002000500
Acceptable Financing Conventional
Listing Terms Conventional
Read Less
Want to know what your home might be worth? Contact us for a FREE valuation!

Our team is ready to help you sell your home for the highest possible price ASAP
